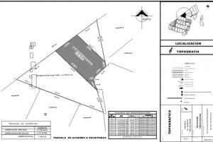
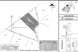
Venta
Terreno
$949,200
CAPULINES , San Luis Potosi